Artículo
Sancionan a militares que habrían hurtado ayudas en San Andrés
El Ejército y la Armada Nacional aseguraron estar dispuestos a recibir denuncias sobre actos que puedan dañar su imagen.
Colombia
ColombiaArtículo
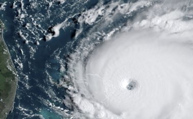
Los efectos del huracán Iota sobrepasaron planes de acción
Ni el centro de salud quedó en pie en la isla Providencia, tras el paso del fuerte ciclón.
Mundo
MundoArtículo
Huracán Iota se degrada a tormenta tropical
Es la decimotercera de las 30 tormentas con nombre registradas este año que alcanza la categoría de huracán.
Publicidad
Seguir leyendo
Publicidad
Publicidad
Publicidad

















